Destruction des plantations de cannabis en Jamaïque par l'ouragan Melissa

Olivier F
26 Dec 2025

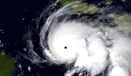
On n'avait pas connu un ouragan aussi violent en Jamaïque depuis « Gilbert » en 1988. L’ouragan appelé Melissa a frappé l’ouest de la Jamaïque à son intensité maximum dernier. Il s’agit d’un ouragan de catégorie 5 sur l'échelle de Saffir-Simpson.


La formation de l’ouragan a été observée pour la première fois entre l'Afrique de l'Ouest et les Petites Antilles le 16 octobre. Il a traversé les îles du Vent avant d’entrer dans la mer des Caraïbes. L’ouragan s’est rapidement intensifié et a atteint la catégorie 5 le 27 octobre alors qu’il se trouvait au sud de la Jamaïque.   

Les vents ont atteint près de 298 km/h et des pluies torrentielles se sont abattues sur l’île. Selon les dernier bilan, 48 personnes seraient décédés en Jamaïque. Il y aurait également 15 disparus et 109 blessés. La tempête a provoqué d’importants dégâts matériels.

A l'ouest de la Jamaïque, des toits ont été arrachés. De terribles inondations ont submergé des villes entières. Les pertes humaines sont importantes et les maisons et les infrastructures devront être reconstruites.

Destruction des récoltes

Le gouvernement jamaïcain a déclaré l'état de « catastrophe nationale ».  Les dégâts sont encore en cours d’évaluation. L’ouragan Melissa a détruit de nombreuse plantations de cannabis légales et illégales. Une grande partie du secteur agricole du pays est à l’arrêt. Des cultures de café, de bananes et de canne à sucre ont été endommagées. L’approvisionnement alimentaire et les exportations sont menacées et la crainte d’une pénurie alimentaire se propage.

Au total, plus de 130 routes ont été bloquées. Le pays connait de nombreuses coupures d’eau et d'électricité. Plus de 90 % des récoltes de bananes et de plantains ont été détruites. Les régions de Westmoreland, St. Ann et Elizabeth ont été particulièrement impactées avec des pertes totales de récoltes. Le secteur de la pêche a également subi des dégâts.

Destruction des plantations de cannabis en Jamaïque par l'ouragan Melissa

Impact sur le secteur du cannabis

La Jamaïque est connu depuis longtemps comme un pays cannabique majeur. Le cannabis est consommé par de nombreux artistes reggae, qui mettent en avant la plante dans leurs morceaux, et par la communauté rastafari qui l’utilise pour la médiation. Le pays est également réputé pour ses variétés légendaires comme la Lamb’s Bread ou la Blue Mountain.

C’est seulement en 2015 que la loi a a été changée et que la possession de moins de deux onces (56 grammes) et la culture d’un maximum de 5 plantes ont été dépénalisées. Le cannabis médical a été légalisé la même année mais ce n’est pas le cas du cannabis récréatif. Actuellement, il existe en Jamaïque des cultivateurs de cannabis légaux et des cultivateurs illégaux. L’autorisation du cannabis médical a permis la création d’un nouveau secteur économique qui emploie plusieurs milliers de personnes.

Les dispensaires réglementés ont un stock pour seulement 2 à 3 mois. Les patients qui utilisent du cannabis médical pourraient subir une pénurie d'approvisionnement. De leur côté, les cultivateurs illégaux ont tout perdu. Le gouvernement étudie les mesures d'urgence à mettre en place pour relancer le secteur agricole. Pour les principales cultures, les pertes sont estimés à plus de 20 milliards de dollars jamaïcains (environ 107 millions d’euros).

Solidarité

De nombreux artistes personnalités ont exprimé leur solidarité ou lancé des appels aux dons. Le célèbre sprinter médaillé olympique Usain Bolt a partagé une vidéo sur le réseau social X. L’athlète s'est rendu dans son ancien lycée, William Knibb High School dans la paroisse de Trelawny pour distribuer des colis de première nécessité, a révélé le journal Jamaica Observer. « Tout ce que j’ai accompli a commencé ici, chez moi. Aujourd’hui, alors que tant de nos enfants, frères et sœurs sont confrontés aux difficultés causées par l’ouragan Melissa, sachez que nous sommes à vos côtés. » a déclaré Usain Bolt.

Le célèbre chanteur jamaïcain Shaggy a coordonné l’acheminement d’avions remplis de fournitures depuis Miami. Selon Associated Press News, il s’est associé à Global Empowerment Mission et à Food For The Poor.

L'artiste Maxi Priest et Luciano ont participé à une opération depuis Leyton, un district de  Londres. Ils ont collecté des vivres et des produits de première nécessité pour la Jamaïque. « Peu importe l'ampleur de notre contribution, nous devons agir », a déclaré Maxi Priest.

Un autre chanteur jamaïcain, Sean Paul, a lancé une campagne de financement participatif avec Food For The Poor Jamaica. Il s'est engagé à doubler les dons jusqu’à concurrence de 50 000 $ pour soutenir les personnes déplacées par l’ouragan Melissa.

Les Jamaïcains ont également reçu le soutien du célèbre activiste américain Steve Angelo .Sur Instagram, il a lancé un appel aux dons pour la communauté rastafari de RIV Retreats à Montego Bay, qui est l'une des zones les plus touchées par l'ouragan Melissa.

Le CEO de l’entreprise de livraison de cannabis Upling, Colin Fraser, a annoncé un don financier et matériel de 50 000 dollars pour les agriculteurs sinistrés, selon le site MMJ Daily.

<<<< A lire également

Jimmy Cliff : « La ganja n’a jamais fait le moindre mal à quiconque »

Une chanson pour célébrer la décriminalisation de l'usage de cannabis en Jamaïque

A la recherche de l’Original Ganja

Un referendum sur le cannabis sur l’île de Caye Caulker

O
Olivier F